제주도 귤밭 과수원 계약
오늘은 내가 농사지을 과수원을 계약을 했다^^
오늘부터 내가 농장주이다!! 하하!!
내가 농장주가 되다니 5년전부터 귀농귀촌을 준비하면서 이렇게 빨리 꿈을 이뤘다는게 믿겨지지도 않는다.
처음에는 1000평만 계약을 했지만 농장주께서 가지고 계신 나머지 노지밭도 나한테 넘긴다고하여 총 거의 2000평을 계약을 했다.
한군데 위치해 있으면 관리가 쉬울텐데 3군데로 나누어져 있다...ㅜㅜ
어찌 관리를 해야할지...정말 걱정이긴 하지만..
잘 만 관리하면 1000평을 수확하는거보다 2배의 수확을 올릴 수 있으니 너무 다행이긴하다.
농장 1000평기준 한해 수확량의 평균이 3000관~3500관이다
이 과수원은 평균 4000관도 열렸다고하니..
그럼 8000관.
대략 계산해보면 2만키로 정도.

귤작업이 다 끝난 상태라 귤나무들 밖에 안남은 상태이다.
안딴 귤이 있으면 좀 따서 가져 갈라고 했더만...
깨끗히도 따셨다 ㅎㅎㅎㅎ
하나도 없다..
젠장 ㅋㅋ



정말 깔끔하다.
귤작업이 끝나고 나서 마지막으로 비료를 뿌렸다고하니 올해 3월까지는 할일은 없는 상태
올해 3월에 전정을 시작으로 농사를 본견적으로 해야한다.
꽃이피기 시작하면 농약 뿌리기를 시작해서 관행농법으로 농사를 지으면 15일에 한번씩 무조건 약을 쳐야한다는...
이런 관행농법 말고 병해충종합관리 IPM 방제력으로 하면 약을 연 7회정도만 치면 되는데..
아직까지는 경험도 없고 첫 농사라 망치면 안되기에 첫해는 관행농법으로 농사를 지을 생각이다.
아니면 병해충종합관리대로 한번 해볼까???ㅎㅎ
고민중에 있지만 여러방면으로 알아보고 결정해야겠다.

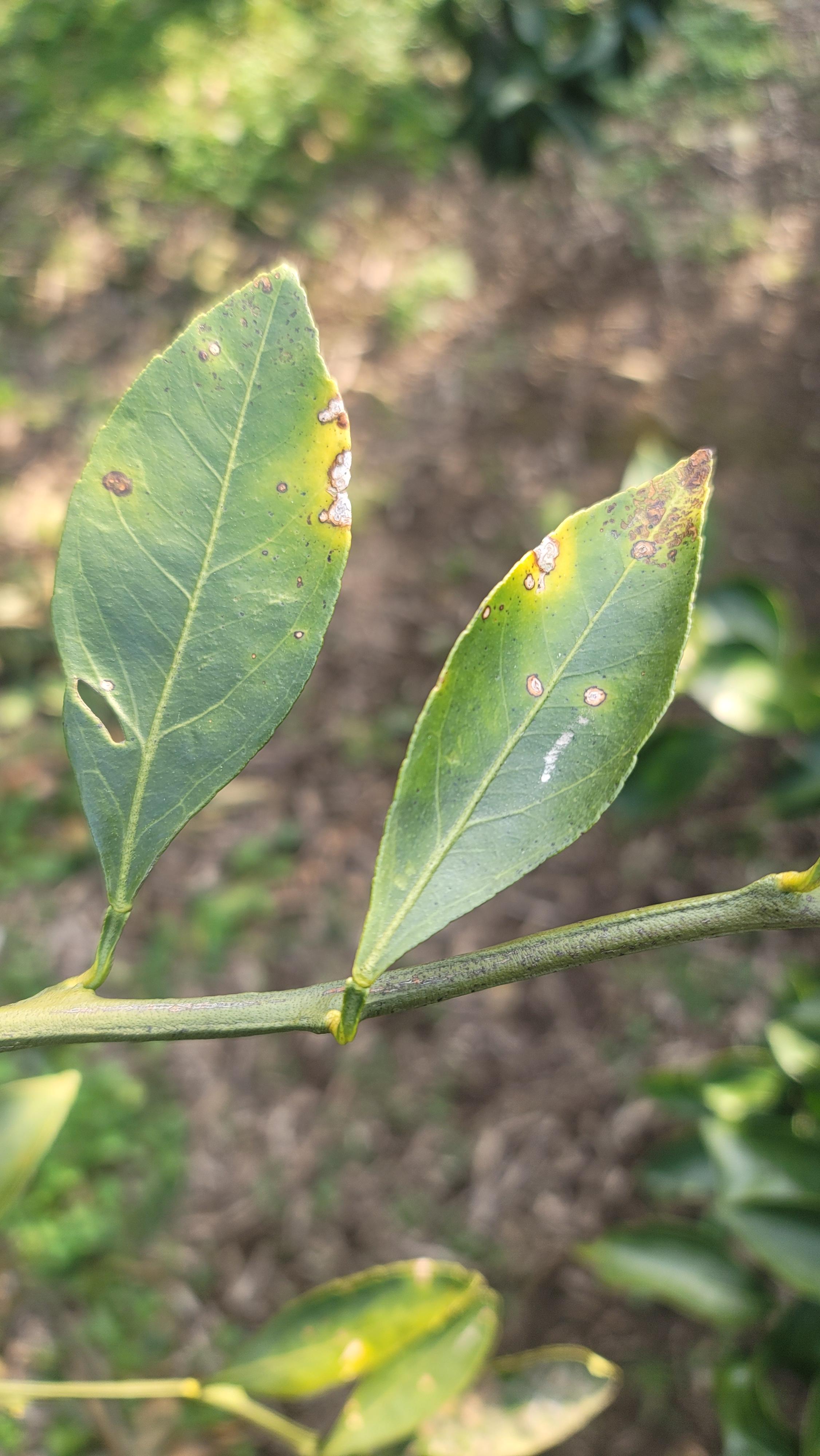
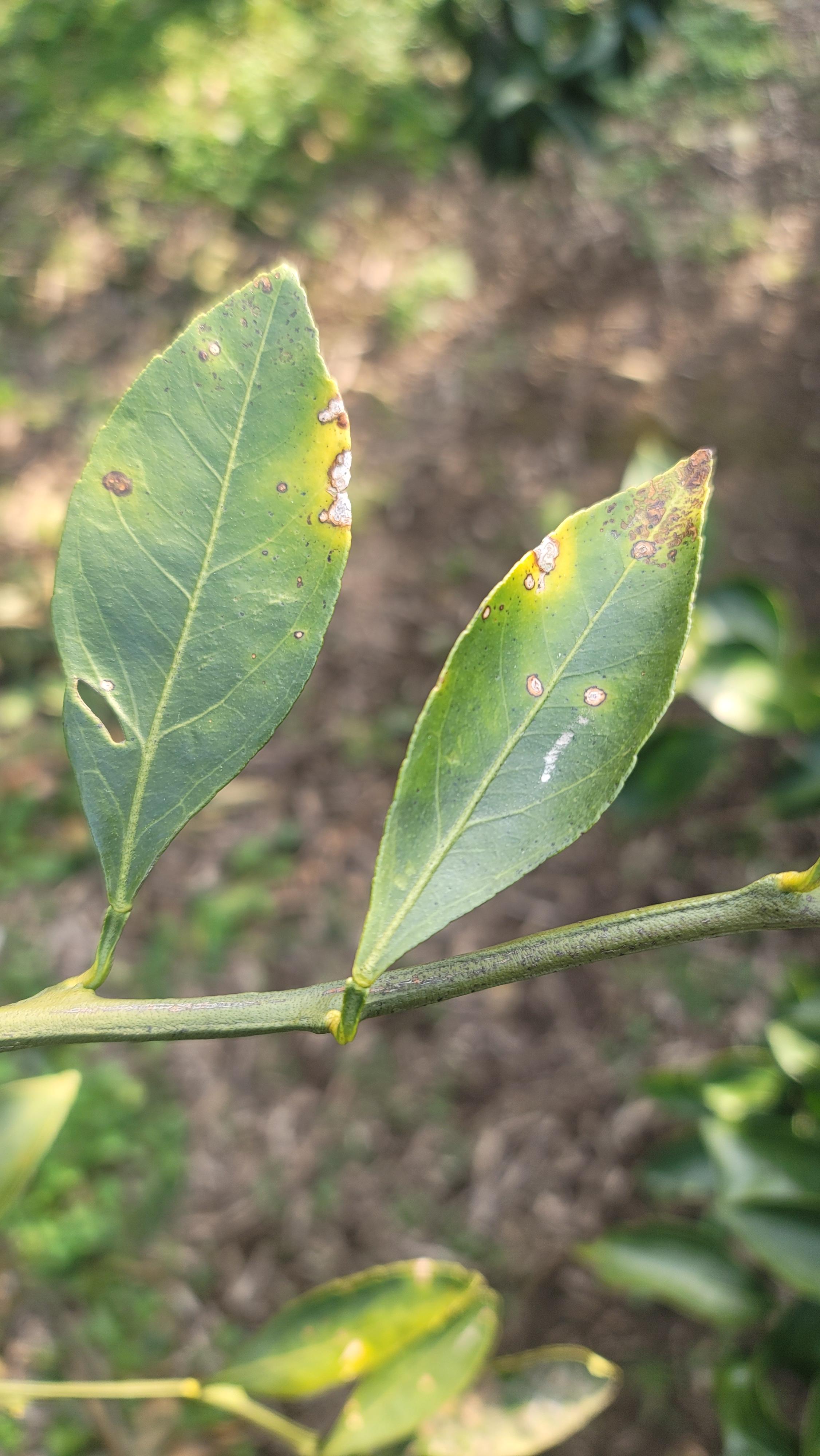
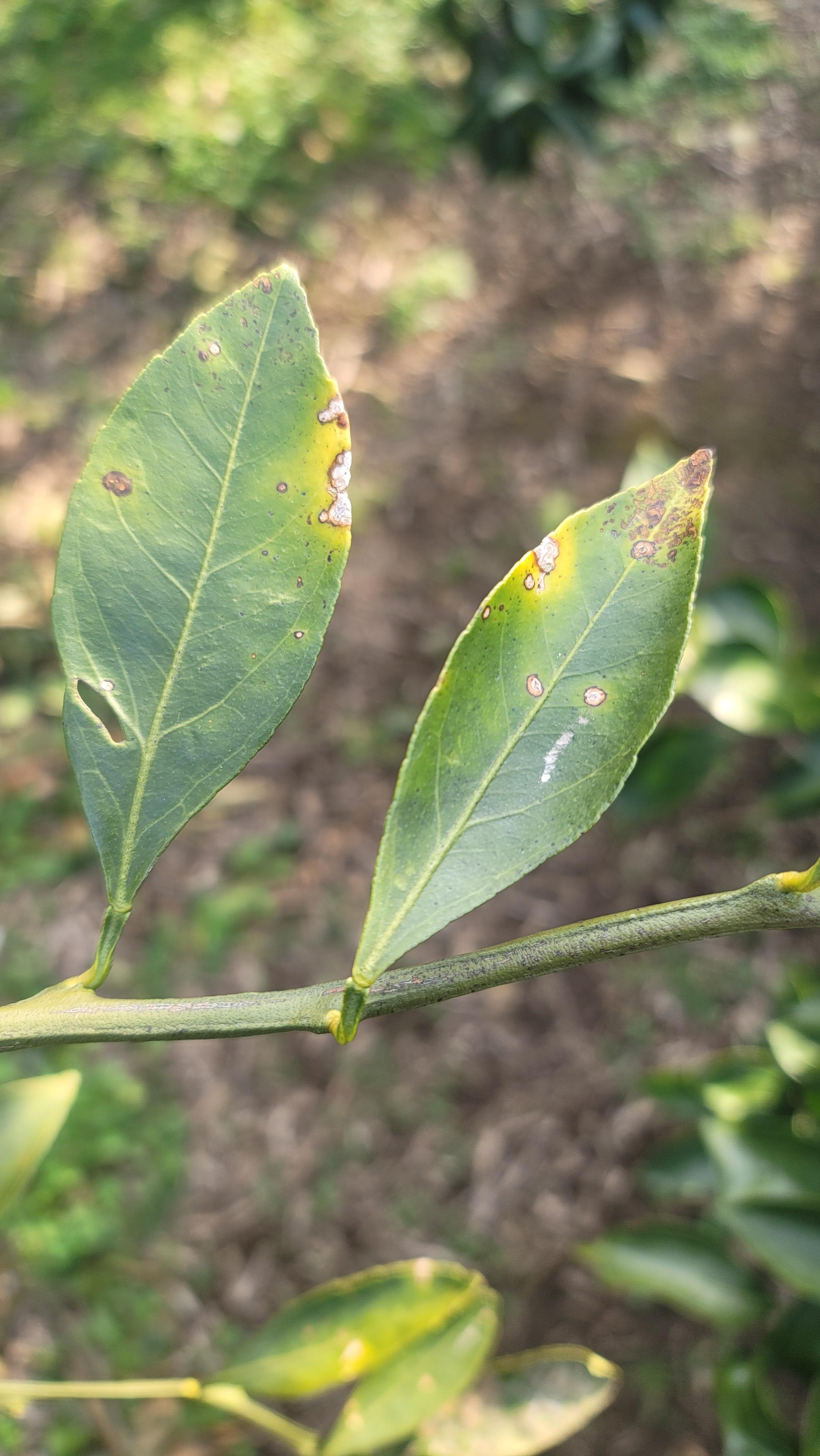
농장을 둘러보니 병에 걸렸던 나무들이 꽤 되는듯...

이런 병들이 걸리면 그나무는 전부 귤이 상품성이 없는 파지로 변형된다..
조만간 와서 다 잘라내야지..


너무 병이 많이 들어있다...맘이 아프다.. 왜이래...ㅜㅜ
전 농장주는 왜 이렇게 나무 관리를 안한건지...
나무들도 엄청 아프겠따...
내가 올해는 잘 관리해줄께!!
내 나무들아~~


쭉 들러보고 창고가 없어서 창고를 넣을 자리를 계산하고 돌아왔다..
농사라고 하는건 농작물과의 소통이라고 생각한다.
농작물은 농부의 발소리를 듣고 자란다고한다.
그만큼 농부의 땀을 나무들도 알고 있다는 얘기가 아닐까?
내 나무들이 아프지않고 잘자라 맛있는 귤을 맺을때까지 정말 열심히 자주 들러 밥도주고 약도주고 사랑도 줘야겠다.
앞으로 잘 지내보자꾸나 나무들아!!^^
'제주이야기' 카테고리의 다른 글
| 제주도 귀농일기 일곱번째 이야기 (0) | 2023.02.14 |
|---|---|
| 제주도 귀농일기 여섯번째 (0) | 2023.02.14 |
| 제주도 귀농일기 네번째 (0) | 2023.02.14 |
| 제주도 귀농일기 두번째 (0) | 2023.02.14 |
| 제주도 귀농일기 첫번째 (0) | 2023.02.14 |
댓글